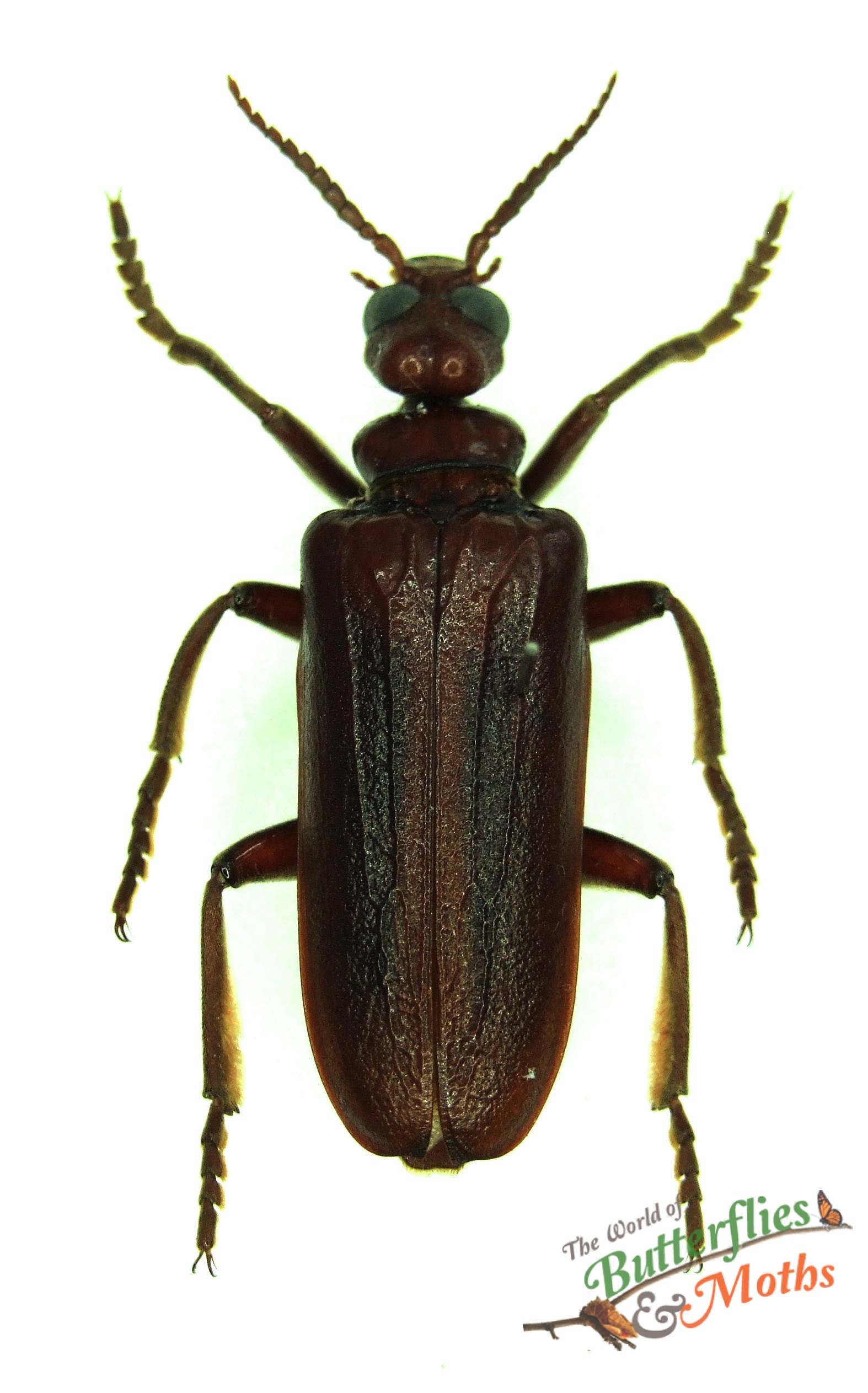
Eletica maculatipes es una especie de coleóptero de la familia Meloidae.
Distribución geográfica
Habita en la República Democrática del Congo.[1]
Referencias





Eletica maculatipes es una especie de coleóptero de la familia Meloidae.
Habita en la República Democrática del Congo.[1]




